| |
Devant
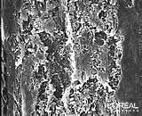
vous, 4 colonnes lumineuses d1,70m de haut, abritent des photos
prises au microscope électronique à balayage.
Ces colonnes sont coupées en deux dans le sens de la longueur :
le côté plat montre lintérieur du cheveu ; le
côté rond, en montre lextérieur. De quoi sagit-il
? De comparer la structure dun cheveu humain à celle dun
poil de vison, dastrakan et de ragondin. Les poils et les cheveux
ne sont pas si éloignés. Ils ont une fonction protectrice,
les animaux sont dotés par leur toison dune « couverture
isotherme » naturelle.
Vous pouvez voir, mais aussi toucher. En effet, sur chaque colonne, est
installé un échantillon du poil ou du cheveu concerné.
Chacun peut ainsi samuser à les caresser et noter que plus
les écailles du poil sont régulières, plus le poil
est doux ; plus sa moelle est aérée, plus il est souple.
«
chaque animal a un poil adapté à son milieu »
Différent
selon chaque espèce
Chaque animal a un
poil adapté à son milieu : les écailles du poil
du vison sont denses, sa fourrure doit résister aux nombreux
buissons quil traverse ; les poils du ragondin semblent moins
résistants (écailles moins serrées), car cet animal
évolue surtout dans leau.
De même, la moelle, au centre, contient plus ou moins dair,
selon que lanimal vit dans un milieu froid. Ainsi, le vison qui
doit se protéger de basses températures a une fourrure
bien isolante : la moelle occupe une grande partie de son poil et est
remplie dair ! Pour lhomme, cest le contraire, les
vêtements ayant aujourdhui remplacé sa fourrure.
Au microscope, cheveu humain et poil sont cousins. La différence
est surtout biologique : les poils poussent principalement à
la puberté tandis que les cheveux poussent dès la naissance.
Plus tard, les cheveux - surtout chez les hommes - verront leur chute
accélérée et non les poils. Notons que dans certaines
langues, le même mot désigne le poil et le cheveu (par
exemple, hair en anglais).
Un témoignage de notre évolution
Les cheveux sont sans doute une rémanence de lévolution
des espèces. Ils représenteraient une forme de protection
de la boîte crânienne contre le froid, le soleil
De
leur côté, les poils ont 3 fonctions : ils isolent du chaud
ou du froid, ils évitent à la peau de se déchirer
quand lanimal se déplace dans son milieu et ils forment
une sorte de radar (surtout les poils de la queue et du
long de léchine, à linstar des moustaches
du chat).
|
|
Structures internes
comparées entre un cheveu et des poils.

Cheveu humain.

Poil d'astrakan.

Poil de vison.
Doù viennent ces photos ?
Chaque poil danimal prélevé sur une fourrure non traitée
a été coupé en 2 dans le sens de la longueur. Il
a ensuite été grossi 1000 fois au microscope électronique
à balayage avant dêtre photographié à
six reprises. Cest à partir de ces six photos quun
infographiste a effectué un collage grâce à
un logiciel de retouche dimage pour nobtenir quun seul
et long cliché par poil.
|