supertyphon sur les Philippines

Typhon géant sur les Philipines

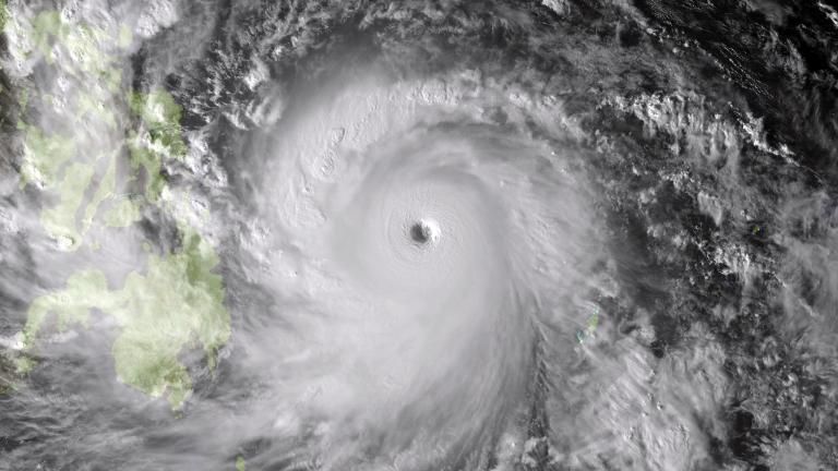
Annoncé comme un des plus puissants typhons de l'année, Haiyan s’est abattu, vendredi 8 novembre à l’aube, sur les côtes orientales de l’archipel des Philippines. Avec des vents soufflant jusqu’à 315 km/heure, il est classé en catégorie 5, la plus élevée. Il progresse du sud-est vers le nord-ouest comme le montre l’image satellite, et devrait balayer le centre du pays tout en épargnant Manille. Les zones exposées subissent déjà des inondations, tandis que les côtes pourraient être submergées par des vagues de six mètres de haut. Près de 16 millions de personnes, dont 12 millions aux Philippines, se trouvent sur la trajectoire de Haiyan.

précédent   suivant